El misterio de la «ciudad sumergida» de Cuba
En el fondo del mar Caribe, a más de 650 metros de profundidad, un sonar captó algo que nadie esperaba encontrar. Bloques de piedra pulida, formas simétricas, patrones que desafían la explicación fácil
En el vasto cajón de curiosidades de internet abundan los misterios, y pocos despiertan tanto la imaginación colectiva como los de tesoros y civilizaciones perdidas. Un ejemplo especialmente sugestivo es el de la supuesta «ciudad sumergida» frente a las costas de Cuba, un enigma que durante años ha alimentado titulares y teorías casi míticas.
Un hallazgo inesperado en el fondo del mar Caribe
El origen de la historia se remonta a 2001, cuando un equipo canadiense de la empresa Advanced Digital Communications (ADC) buscaba pecios de la época colonial española con sonar –de los que se cree hay cientos en esas aguas, muchos cargados de tesoros– y detectó unas formaciones que no coincidían con lo que esperaban encontrar.
Lo que apareció en las pantallas no parecía corresponder con restos de naufragios conocidos; en su lugar, los investigadores se encontraron con formaciones de piedra cuya disposición sugería un patrón poco habitual.
Según informó entonces la BBC, identificaron estructuras organizadas a más de 650 metros de profundidad, frente a la península de Guanahacabibes, que algunos interpretaron como similares a la disposición de una ciudad. Meses después, un robot submarino permitió observar grandes bloques de superficie pulida, entre los que se distinguían formas que algunos compararon con estructuras piramidales y otras de contorno redondeado.
¿Una ciudad más antigua que las pirámides de Egipto?
Como era de esperar, el hallazgo generó un notable interés. Las primeras estimaciones sugerían que las estructuras podrían tener una antigüedad en torno a los 6.000 años, lo que las situaría aproximadamente milenio y medio antes de las grandes pirámides egipcias. De ser cierto, ello sugeriría que algunas sociedades humanas podrían haber desarrollado capacidades arquitectónicas avanzadas antes de lo que se pensaba.

Ante semejante posibilidad, la exploradora Paulina Zelitsky lo describió con entusiasmo: «Es una estructura realmente maravillosa que parece que podría haber sido un gran centro urbano». Con todo, desde el inicio los propios investigadores adoptaron un tono prudente. «Sería totalmente irresponsable afirmar qué es antes de tener pruebas», advirtió la misma Zelitsky.
En cambio, su colega Paul Weinzweig fue más directo. En declaraciones al South Florida Sun-Sentinel en 2002, recogidas por IFL Science, afirmó que «las estructuras detectadas con el sonar simplemente no se pueden explicar desde un punto de vista geológico: hay demasiada organización, demasiada simetría, demasiada repetición de formas».
Los obstáculos geológicos que frenan la teoría
El entusiasmo, sin embargo, choca con dos obstáculos difíciles de sortear. El principal no es solo la falta de estudios posteriores –las expediciones se detuvieron en gran parte antes de 2005, según Arkeonews–, sino la propia lógica geológica del hallazgo.
El yacimiento se encuentra a unos 600–650 metros de profundidad, una cifra clave. Según explicó el geólogo Manuel Iturralde a National Geographic, citado por Arkeonews, para que una estructura artificial se hundiera hasta ese nivel tendría que tener al menos 50.000 años. Esta cronología resulta difícil de conciliar con la hipótesis de una ciudad de apenas 6.000 años.
A esto se suma un segundo factor importante: los procesos naturales pueden dar lugar a interpretaciones engañosas. Aunque las imágenes muestran formas geométricas llamativas, varios expertos recuerdan que los procesos geológicos pueden, en algunos casos, dar lugar a formas que parecen ordenadas. Como resume IFL Science, lo que parece diseñado por humanos podría ser simplemente una coincidencia natural.

Cuando la naturaleza imita a la arqueología
No sería un caso aislado. Formaciones como las de Yonaguni, en Japón, han sido interpretadas durante décadas como posibles restos de una civilización perdida, cuando para buena parte de la comunidad científica se trataría en realidad de estructuras geológicas moldeadas por procesos naturales.
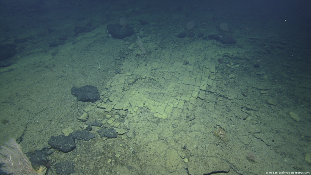
Algo similar ocurrió con el llamado «camino de baldosas amarillas» descubierto en el fondo del Pacífico, una formación que a primera vista parecía una vía construida, pero que terminó explicándose como resultado de fracturas en roca volcánica que generan patrones sorprendentemente regulares.
Pese a todo, la incertidumbre en torno al hallazgo persiste. Las especulaciones sobre la Atlántida no tardaron en surgir, alimentadas por una combinación casi irresistible de profundidad, antigüedad potencial y formas aparentemente artificiales. Pero, como recuerda la máxima popularizada por Carl Sagan, las afirmaciones extraordinarias requieren pruebas extraordinarias.
Hoy, la denominada «ciudad submarina cubana» sigue siendo, en gran medida, un fenómeno de internet alimentado por imágenes no verificadas e interpretaciones que se multiplican, pero los datos disponibles no bastan para sostener que allí hubo alguna vez una ciudad construida por humanos.